• MeteoBlog
  • Février le plus doux depuis le…

climat Suisse

Une première quinzaine de février extrêmement douce !

by MeteoNews SA

La première quinzaine de février a été extrêmement douce, avec un excédent d'environ 3 à 7 degrés et une moyenne nationale de plus de 5 degrés. Les températures ont été plus élevées que la moyenne du mois de mars sur une grande partie du territoire, et même localement légèrement plus élevées que la moyenne du mois d'avril ! Nous sommes donc sur la voie d'un des mois de février les plus doux depuis le début des mesures. Les précipitations ont été nettement insuffisantes au nord et trop abondantes au sud. Enfin, le soleil a brillé plus souvent que la normale en plaine, mais généralement moins souvent dans les autres régions.

Roger Perret

clause de non-responsabilité

Le contenu de cet article a été traduit au moins en partie par ordinateur à partir d'une autre langue. Des erreurs grammaticales ou des imprécisions sont donc possibles. Veuillez noter que la version linguistique originale de l'article doit être considérée comme faisant foi.

MeteoBlog Inscription

Archive du blog

dans toutes les catégories

Articles récents

leadPicture

dictionnaire météo

La géo-ingénierie est-elle la solution ?

La géo-ingénierie englobe les interventions techniques possibles à grande échelle dans les systèmes naturels de la Terre afin de lutter contre certains des effets du changement climatique. Ces stratégies incluent l'intervention sur les aérosols stratosphériques (SAI), le captage et le stockage du carbone (CCS), qui élimine et stocke le CO₂ de l'atmosphère, ou l'augmentation de l'albédo de surface. Alors que ces technologies ont le potentiel de faire baisser la température moyenne mondiale, leur impact environnemental, financier et sociétal à long terme reste largement inexploré. De plus, elles ne s'attaquent pas à la cause du problème, elles ne sont donc pas une solution au problème du changement climatique, mais doivent tout au plus être considérées comme une atténuation des symptômes du changement climatique en attendant que les mesures de réduction des émissions de CO₂ portent leurs fruits.

Elia Wunderlin

leadPicture

dictionnaire météo

Limite des chutes de neige et limite d'enneigement

Que nous soyons enfants ou passionnés de sports d'hiver, nous sommes nombreux à attendre avec impatience la neige pendant la saison froide. Un facteur décisif à cet égard est la limite des chutes de neige – tantôt haute, tantôt basse. Cela dépend bien sûr en premier lieu de la température, mais pas seulement. La limite des chutes de neige n'est pas non plus la même chose que la limite de la neige.

Michael Eichmann

leadPicture

météo Suisse

Semaine perturbée en vue

Cette semaine, le temps sera loin d'être ennuyeux. Avec une tempête de foehn et un front froid ce lundi, toute une série de passages perturbés débutera. Entre l'alternance des fronts chauds et des fronts froids, la limite des chutes de neige fluctuera assez fortement en montagne. Le vent sera également fréquemment de la partie sur les régions de plaine. Pour profiter d'une météo plus calme, il faudra sans doute patienter jusqu'à la fin de semaine.

Michael Eichmann

leadPicture

climat Suisse

Rétrospective de l'année météorologique : 3e place des années les plus chaudes depuis le début des mesures !

L'année 2024 a été trop douce d'environ 1,4 degré. Elle se classe ainsi à la troisième place des années les plus chaudes depuis le début des mesures. De plus, le temps a été un peu plus humide et nuageux que d'habitude. Outre des records de neige fraîche d'un jour en novembre, cette année a également connu le mois de février le plus doux jamais enregistré.

Quirin Beck

leadPicture

météo Suisse

Fin d'année calme, front froid le 2 janvier

L'année se termine en altitude sous le soleil et dans la douceur. En revanche, en plaine, le temps est froid et brumeux, surtout aujourd'hui, mais demain, à la Saint-Sylvestre, il y aura de meilleures chances que le brouillard se dissipe, au moins partiellement, pendant la journée. Après un passage à la nouvelle année souvent clair mais froid en plaine, le jour de l'An sera largement ensoleillé et les températures seront un peu plus élevées à basse altitude. Le 2 janvier, un front froid nous atteindra en journée. Derrière, l'évolution du temps à partir de vendredi est encore très incertaine, mais il fera probablement assez froid, surtout vendredi et samedi.

Roger Perret

leadPicture

météo Suisse

D'abord instable, puis temps anticyclonique à partir de Noël

Le début de la semaine sera hivernal avec de fréquentes chutes de neige, surtout le long des Alpes du Nord, tandis qu'en plaine, il y aura parfois de la pluie ou de la neige. Au sud, le temps est assez ensoleillé avec un foehn de nord. Demain, la veille de Noël, le temps restera souvent sec en plaine au nord, tandis que le long des Alpes, la neige continuera à tomber, surtout en matinée. À partir de Noël, le temps sera dominé par un anticyclone avec un soleil généreux en montagne et dans le sud, alors que les plaines du nord seront parfois couvertes de brouillard ou de stratus bas, surtout à partir du week-end. En montagne, les conditions pour les sports d'hiver sont excellentes !

Roger Perret

leadPicture

climat Suisse

Première quinzaine de décembre nuageuse et trop sèche

La première quinzaine de décembre a été assez variée sur le plan météorologique, avec des phases anticycloniques de brouillard ou de stratus mais aussi le passage régulier de perturbations. Dans l'ensemble, les températures, les précipitations et la nébulosité ne s'écartent pas trop de la moyenne pluriannuelle, ce qui signifie que, sur le long terme, la première quinzaine de décembre a été assez normale. Toutefois, les différents éléments météorologiques présentent des différences régionales parfois importantes.

Roger Perret

leadPicture

météo Suisse

Une première moitié de semaine calme, puis un peu plus d'animation

L'anticyclone Friedrich déterminera notre météo en début ce de semaine. En altitude, le temps sera doux et assez ensoleillé, alors qu'en plaine, nous serons parfois confrontés aux brouillards. Jeudi, un front froid nous atteindra à partir de la dépression Dorothea et la limite des chutes de neige s'abaissera nettement en dessous de 1000 mètres durant la nuit de vendredi. Le quatrième week-end de l'Avent se déroulera sous une nébulosité variable.

Michael Eichmann

Articles les plus lus au cours des 2 derniers mois

leadPicture

météo Suisse

Arrivée de force de la neige jeudi!

Demain jeudi, une dépression se déplacera en journée de la Bretagne vers les Balkans en passant par l'ouest de l'arc alpin. En raison de la présence d'une limite de masse d'air, des chutes de neige parfois importantes sont attendues en cours de journée sur une grande partie du territoire jusqu'en plaine. Seuls l'ouest de la Suisse et le Bas-Valais devraient recevoir de la pluie à basse altitude dans le courant de l'après-midi et en première partie de nuit de jeudi à vendredi. Dans l'ensemble, les quantités de neige fraîche seront importantes et des records de neige fraîche d'une journée en novembre sont même possibles localement en plaine.

Roger Perret

leadPicture

dictionnaire météo

Adieu la neige ! Que se passe-t-il ?

La neige est une matière particulière, un caprice très spécial de la nature. Les enfants ne sont pas les seuls à se réjouir des gros flocons et de la neige fraîche abondante pour faire des bonshommes de neige, mais la plupart des automobilistes l'apprécient moins. La durée de vie d'une couche de neige dépend de plusieurs facteurs. Outre la température de l'air, son humidité relative joue également un rôle, sans oublier le vent et la pluie qui peuvent être des tueurs de neige.

Klaus Marquardt

leadPicture

climat Suisse

Novembre trop doux et beaucoup trop sec jusqu'à présent

Jusqu'à présent, le mois de novembre s'est révélé calme et anticyclonique. La situation météorologique d'inversion marquée a apporté la répartition typique de brouillard/stratus ainsi que du soleil en montagne. En altitude surtout, le temps a été exceptionnellement doux, avec de nouveaux records de novembre dans certaines stations de montagne. Les précipitations ont été l'exception et n'ont été enregistrées que cette semaine.

Klaus Marquardt

leadPicture

dictionnaire météo

Limite des chutes de neige et limite d'enneigement

Que nous soyons enfants ou passionnés de sports d'hiver, nous sommes nombreux à attendre avec impatience la neige pendant la saison froide. Un facteur décisif à cet égard est la limite des chutes de neige – tantôt haute, tantôt basse. Cela dépend bien sûr en premier lieu de la température, mais pas seulement. La limite des chutes de neige n'est pas non plus la même chose que la limite de la neige.

Michael Eichmann

leadPicture

météo Suisse

Semaine perturbée en vue

Cette semaine, le temps sera loin d'être ennuyeux. Avec une tempête de foehn et un front froid ce lundi, toute une série de passages perturbés débutera. Entre l'alternance des fronts chauds et des fronts froids, la limite des chutes de neige fluctuera assez fortement en montagne. Le vent sera également fréquemment de la partie sur les régions de plaine. Pour profiter d'une météo plus calme, il faudra sans doute patienter jusqu'à la fin de semaine.

Michael Eichmann

leadPicture

climat Suisse

Automne 2024 trop doux, trop humide et trop nuageux

L'automne météorologique (septembre à novembre) touche à sa fin, il est temps de faire le point. L'automne 2024 a été trop doux d'environ 1,2 degré par rapport à la moyenne pluriannuelle, ce qui le place au septième rang des automnes les plus doux depuis 1864. Il a été nettement trop doux en particulier en montagne. Sur l'ensemble de la Suisse, il a également été un peu trop humide (surtout dans le nord) et trop nuageux (surtout sur le Plateau).

Roger Perret

leadPicture

météo Suisse

Fin d'année calme, front froid le 2 janvier

L'année se termine en altitude sous le soleil et dans la douceur. En revanche, en plaine, le temps est froid et brumeux, surtout aujourd'hui, mais demain, à la Saint-Sylvestre, il y aura de meilleures chances que le brouillard se dissipe, au moins partiellement, pendant la journée. Après un passage à la nouvelle année souvent clair mais froid en plaine, le jour de l'An sera largement ensoleillé et les températures seront un peu plus élevées à basse altitude. Le 2 janvier, un front froid nous atteindra en journée. Derrière, l'évolution du temps à partir de vendredi est encore très incertaine, mais il fera probablement assez froid, surtout vendredi et samedi.

Roger Perret

Articles les plus lus au cours des 12 derniers mois

leadPicture

météo Suisse

Mardi maussade, puis plus frais avec de la bise

Les dernières heures de septembre 2024 s'annoncent encore relativement agréables, mais demain, pour le début du mois d'octobre, le balancier va malheureusement s'inverser. Une vague d'air humide nous arrivera de l'ouest, avec des pluies parfois fortes, notamment dans la nuit de mardi à mercredi. Ensuite, le creux de la vague en termes de précipitations sera franchi cette semaine. Avec l'arrivée de la bise dès jeudi, de l'air plus frais s'infiltrera sur la Suisse.

Klaus Marquardt

leadPicture

biométéo Suisse

Les concentrations en pollens de graminées vont diminuer

Les concentrations en pollens de graminées ont été particulièrement importantes en Suisse ces dernières semaines, mais bonne nouvelle pour les personnes allergiques, le pic est désormais passé. Cela dit, d'autres allergènes sont encore attendus pour la fin de l'été, et notamment l'ambroisie, qui produit un pollen très allergène, dont la floraison commencera à partir de la fin du mois d'août.

Roger Perret

leadPicture

météo internationale

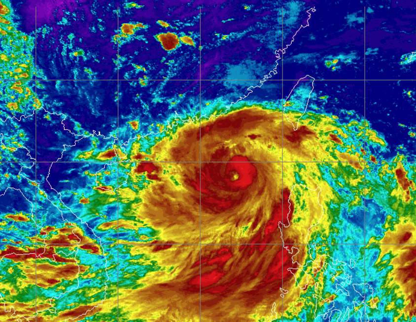
Le typhon Yagi se dirige vers le sud de la Chine

Alors que l'activité des tempêtes tropicales dans l'Atlantique reste pour l'instant limitée, quelques jours après le typhon Shanshan au Japon, le prochain typhon fait déjà la une des journaux. Yagi a déjà causé des dégâts et des morts aux Philippines ces derniers jours, il se renforce désormais en mer de Chine méridionale et devrait toucher terre dans le sud de la Chine vendredi ou samedi.

Michael Eichmann

leadPicture

climat Suisse

Plutôt peu de jours de canicule jusqu'à présent

On entend régulièrement des questions telles que "Quand est-ce que l'été va enfin commencer ?" ou "Pourquoi fait-il toujours si froid en ce moment ?". En effet, l'été 2024 n'a pas encore montré son côté stable ou chaud, mais sommes-nous vraiment aussi loin d'un été moyen que l'on pourrait le penser ? Le nombre de jours de canicule jusqu'à présent nous permet d'y voir un peu plus clair.

Michael Eichmann

leadPicture

météo Suisse

Prochain salut du Sahara !

Dans le courant de la journée de lundi et dans la nuit de lundi à mardi, un courant de sud à sud-ouest devrait à nouveau entraîner une grande quantité de poussière du Sahara dans l'air en Suisse. Mardi, ces poussières sahariennes seront repoussées plus à l'est ou emportées par le passage d'un front froid. La poussière du Sahara a de nombreux effets sur l'homme et l'environnement en Europe, mais aussi dans le monde entier.

Roger Perret

Accès rapide à notre portail météo

Accédez encore plus rapidement à notre portail météo en plaçant un raccourci directement sur l'écran d'accueil :
  • 1. Tapez sur
  • 2. Vers l'écran d'accueil
  • 1. Tapez sur
  • 2. Sélectionnez 'Ajouter à l'écran d'accueil'
  • 3. Tapez 'Ajouter'.
  • 1. Tapez sur
  • 2. Sélectionnez 'Ajouter à l'écran d'accueil'
  • 3. Tapez 'Ajouter'.